自然観察館だより
■休館日のお知らせ
1月の休館日:13日(火・振替休館)・19日(月)・26日(月)
2月の休館日:2日(月)・12日(木・振替休館)・13日(金・振替休館)
・16日(月)・24日(火・振替休館)
■第12回自然観察会(冬の蛇尾川周辺探鳥会)参加者募集
冬の大田原市の龍城公園や蛇尾川緑地公園において、そこにいる雑木林や水辺の鳥などを観察しませんか。
・日 時:令和8年2月14日(土) 午前9時~12時 雨天中止
・集合場所:龍城公園駐車場(旧大田原消防署裏)
・定 員:15名(どなたでも可、但し、小学生以下は保護者同伴)
・参加費:500円(野鳥の会会員は300円、中学生以下無料)
・講 師:刑部 節 氏(大田原市理科クラブ事務局長)
・持ち物 双眼鏡、筆記用具、その他
・日 程 8:30~ 9:00 受付
9:00~ 9:10 開会、あいさつ・講師紹介、講師あいさつ
9:10~11:20 野鳥観察・・・・・
11:30~12:00 振り返り、諸連絡、閉会
・持ち物:雨具、筆記用具、双眼鏡など(双眼鏡は当館で貸し出す)
・申込み:1月10日(土)~2月11日(水)締切。
電話(午前9時30分~午後4時)又は直接 受付で申し込み
電話番号:0287-28-3251(午前9時30分~午後4時)
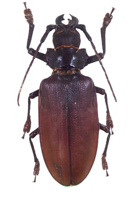
■「世界の昆虫(5大グループ)展」[ 期間 ]12月13日(土)~令和8年3月8日まで
昆虫は地球上の生物の約7割を占めています。そんな膨大な数の昆虫は、様々な特徴を元に決まったルールで分類されグループ化されています。
今回のスポット展では昆虫の約9割を占めるという5大グループ(5大目)についてグループごとに紹介しています。


■ふれあいの丘自然観察館へは、大田原市ふれあいの丘を目指してお越しください!
自然観察館に車で行く道順ですが、大駐車場から芝生の丘を正面に見たときに、丘の左側にある道路をホテルの方に上がっていきます。ホテルの前を通り過ぎ、まっすぐ進みます。短い坂になりますが、坂が終わったところの左側にある建物が当館です。
※大駐車場から歩いていく場合は、芝生の丘にある階段を上っていただき、上りきったところを右手に進みます。



